My Top Ten Most Memorable Tornado Chases of the 2010’s

Log image

Patience is a Virtue: May 23, 2019 Texas Panhandle Monster Tornadoes

Tornado Icon
EF3
Log image

Some Days Just Have “The Feel”: The May 20, 2019 High Risk Chase

Tornado Icon
EF2
Log image

Fun At The Red Willow County Fair: May 17, 2019 — The Day That Made Me Love Nebraska

Tornado Icon
EF3
Log image

The Scariest Chase of My Life: Hurricane Harvey

Structure Icon
Log image

The Perfect Forecast: May 24, 2016

Tornado Icon
EF3
Log image

My Most Bittersweet Chase: May 31, 2013 — El Reno, Oklahoma

Tornado Icon
EF3
Log image

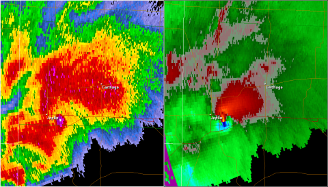
My Experience In Joplin

Tornado Icon
EF5
Log image